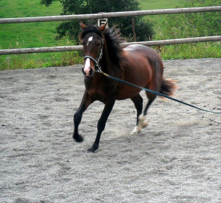
Fils de Lenha, je suis arrivé à Equidome avec elle, fin 2009, alors que je n'avais que 6 mois.
Après mon sevrage, j'ai grandi paisiblement dans les prés du club, en compagnie de poneys. En décembre 2011, j'ai été débourré lors d'un stage d'éthologie-débourrage. Le manège, tourner en longe, accepter la selle, le filet, ne pas avoir peur des gens et des doudous, accepter un cavalier sur mon dos, j'ai appris tout ça en peu de temps, mais tout c'est fait en douceur et à mon rythme.
Maintenant, je suis quelque fois monté et j'ai même franchi mes premières barres. Il parait que je suis très agréable et prometteur que ce soit en dressage comme en saut. Christèle a aussi dit que j'ai un bon mental et que, pour un entier, je suis équilibré.
Voici quelques photos de moi, les dernières sont celles de mon débourrage. ;)
Theme by Danetsoft and Danang Probo Sayekti inspired by Maksimer
Commentaires
Qui est le plus BO ?
Oui c vac est trooooooooooooooop BO !!!!!!! Mais y a pas que lui .... ToTo et Léo et... Mister.... aussi !!!! XD.... et qui est la plus belle jument ???
La plus belle jument, c'est toujours celle de la monitrice...
La plus belle jument, c'est évidemment ma chouchoute Syska, celle avec les grandes oreilles, son oeil craquant, celle qui attend toujours un câlin et en plus qui ne s'arrête jamais devant une barre, une adorable merveilleuse jument avec qui je m'éclate en saut, extérieur, dressage et étho !!!!!!!!!!!!!!!!!!!!!
Syska...
En plus de ça Syska est magnifique .... si belle quand elle saute !!!
Bon faut avouer que je me sent légèrement ... très légèrement petite a coté d'elle !!!! ( Vive les petits !!! ;))
enfin!!
Ca y est, il est temps de réagir ( lol ), vu le travail que j'ai fait dessus, oui il est franchement bien, il pije tout de suite, super confortable, sage, et un petit coup de saut, en plus un peu de sang, c'est pas mal, à venir prochainement, Oriana, Léna après le sevrage et ....Athéna !! Pas mal, non ?? Peut-être que Célia et Elise pourraient témoigner ?
OUI !!!
OUI !!! il est troooop au tooop Vac !!! en plus il a du style :P
Ho ma Ténouch' je l"aime tellement !!! <3... elle est trop belle en plus :D
et 2 nouvelle jument 2!!
Vaqu' est super élégant! *-*
Vaqu' est super élégant! *-*
un agréable cheval que tu as
C'est vrai !
Merci d'apprécier les qualités de ce petit cheval lusitanien; atteint de cornage, nous avons dû à regret le faire castrer mais l'avantage est qu'il pourra combler certains cavaliers. Confortable, très équilibré, il a des allures à la fois relevées et une superbe amplitude; c'est un bon élève bosseur et volontaire, il sait écouter comme tu le dis et apprend très vite. Grâce à lui, j'ai pu découvrir les sublimes sensations du passage car il sait sortir quelques allures de haute école. J'espère entretenir ses qualités subtiles en dressage qui font que l'on a l'impression de monter un cheval exceptionnel; Petit cheval de dressage d'avenir, je pense ! As-tu quelques photos Violette ?
Vaquou
Petit cheval mais grand coeur ! J'ai adore le monter mais si le stresse etait present. Il est super comfortable et fait enormement de chose ! Je ne dis pas non pour le remonter.